| 제목 : 포세이돈호 참돔타이라바 굿 좋습니다 ~ 앞으로도 좋을거구요 | ||
| 등록일 : 2026-02-05 | ||
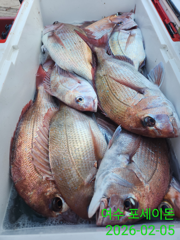
![]() ![]() ![]() ![]() ![]() ![]() ![]() ![]() ![]() ![]() ![]() ![]() ![]() ![]() ![]() ![]() ![]() 오늘도 역시나 사리물때라 타이라바 참돔 다녀왔습니다 많이잡은분들은 쿨러 만땅까지 오후들어 조류가 쎄다보니 힘은 들었어도 끝까지 최선을 다해주셔서 잘마무리하고 입항중 입니다 내일부터 주위보관계로 월요일 조금물때부터 참돔타이라바 자리여유 있습니다 포세이돈호 예약 ☎️ 010-2060-4812 === 여수 포세이돈호 예약안내 === 예약문의 : 010-2060-4812 오시는길 : 전남 여수시 신월1길 28-1 홈페이지 : http://ysposeidon.sunsang24.com/
|
||